
Problèmes de blattes (cafards) dans votre habitation?
Notre équipe de techniciens dessert Longueuil, la Rive-Sud et Montréal et intervient rapidement avec des solutions efficaces pour contrôler les coquerelles (blattes) et limiter les infestations
Parlez à un exterminateur(450) 926-3193
Complétez le formulaire et un expert en extermination des coquerelles communiquera avec vous.
« * » indique les champs nécessaires
TRAITEMENTS pour votre domicile ou Stratégies pour vos unités locatives
Années d’expériences
Interventions
Clients satisfaits

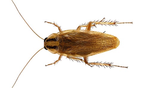
Voici deux types de coquerelles, aussi appelées blattes ou cafards, que l’on retrouve fréquemment sur la Rive-Sud de Montréal. Elles peuvent rapidement envahir une maison, un immeuble de condos ou bloc appartements si on tarde à intervenir.
La blatte germanique est une petite coquerelle brune pâle, mesurant de 12 à 16 mm, reconnaissable à ses deux bandes noires derrière la tête. Très active la nuit, elle se cache dans les endroits chauds et humides, et se propage rapidement d’un logement à l’autre.

La blatte orientale est une coquerelle de couleur brun foncé à noire, mesurant entre 20 et 30 mm. Elle se cache dans les endroits frais, humides et sombres comme les sous-sols, les drains et les vides sanitaires, et sort principalement la nuit pour se nourrir.



